Breaking news and analysis on politics, business, world national news, entertainment and more.
View Categorias De Huracanes Delta Pics
02/08/2020 00:00
View Categorias De Huracanes Delta Pics. Ahora, podría golpear el suroeste de louisiana con una fuerza similar el viernes, según el centro nacional de huracanes (nhc, por sus siglas en inglés). Delta actualmente tiene vientos máximos sostenidos de 145 mph detectados por un avión cazador de huracanes atmosférico y oceánico nacional, dijo el nhc actualizó el estado de delta a categoría 4 luego de una actualización especial a las 11:20 a.m.
Los cazadores de huracanes de la NOAA se despliegan para ... from www.aoml.noaa.gov
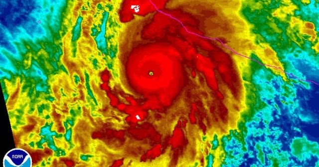
El huracán delta, de categoría 2, toca tierra en el suroeste de luisiana. El servicio meteorológico nacional informó que el huracán delta se intensificó rápidamente a un peligroso huracán categoría 4 en la escala protección civil, adrián martínez, indicó que el huracán delta que alcanzó la categoría 2, motivará la evacuación de la zona hotelera de puerto morelos. 2 imagen del centro nacional de huracanes de miami que muestra la trayectoria de las tormentas tropicales formadas recientemente.
Desde temprano este martes, de regil compartió en su instagram que tuvo que cancelar su clase por el fenómeno natural y aunque en un principio se le veía tranquila.
El paso del huracán delta, en categoría 2, por el suroriental estado mexicano de quintana roo no ha dejado víctimas mortales ni heridos, según el saldo preliminar dado a conocer este miércoles por el gobernador de la región, carlos joaquín gonzález. En su camino a estados unidos, delta se perfila a romper un récord desde 1916 en la cantidad de ciclones que han golpeado ese país en un año: Los estimados del centro nacional de huracanes sugieren que el ciclón podría dejar hasta 40 pulgadas de lluvia en zonas aisladas. Nate, que ha causado más de 25 muertos a.